Description
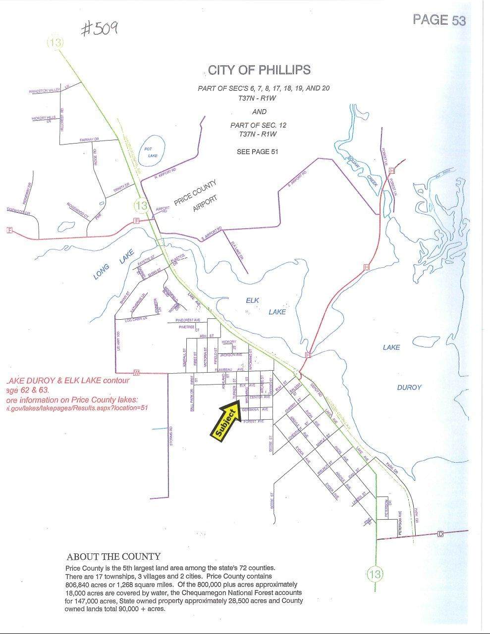
(509/AS) Beautiful City of Phillips Lot!! Take a look at this must see oversized corner lot near the old elementary school. On the corner of Turner St. and Center Ave. This well-groomed lot has several mature trees and is ready for your new home or duplex. Take a look today! (18-37-1E Beebe's Add to Phillips W 45' of Lot 3 Block 11 Lot 4 Block 11)
-
0BEDS
-
0.29ACRES
-
0BATHS
-
01/2 BATHS
School Information
Description
(509/AS) Beautiful City of Phillips Lot!! Take a look at this must see oversized corner lot near the old elementary school. On the corner of Turner St. and Center Ave. This well-groomed lot has several mature trees and is ready for your new home or duplex. Take a look today! (18-37-1E Beebe's Add to Phillips W 45' of Lot 3 Block 11 Lot 4 Block 11)
© 2026 Northwoods Association of REALTORS® & Greater Northwoods MLS. All rights reserved. IDX information is provided exclusively for consumers' personal, non-commercial use and may not be used for any purpose other than to identify prospective properties consumers may be interested in purchasing. Information is deemed reliable but is not guaranteed accurate by the MLS or Dream North Real Estate, eXp Realty, LLC. Data last updated: 2026-03-11T15:07:25.307.
